Nhà
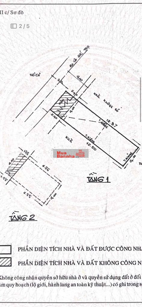
Chính chủ bán nhà 583/39 Lê Đức Thọ
583/39, Đường Lê Đức Thọ, An Hội Đông, Hồ Chí MinhMức giá
6.2 tỷ
Diện tích
56 m²
Thông tin mô tả
Nhà hẻm xe hơi , 4x14, gần trường học Nguyễn Công Trứ, Võ Thị Sáu..
Thông số bất động sản
- Mức giá
6.2 tỷ
- Diện tích
56 m²
- Chiều rộng
4 m²
- Chiều dài
14 m²
- Số phòng ngủ
2
- Số phòng VS
2
Ngày đăng
16/03/2026
Ngày hết hạn
30/03/2027
Loại tin
THƯỜNG
Mã tin
127992
Bất động sản dành cho bạn
Quý vị đang xem nội dung tin rao "Chính chủ bán nhà 583/39 Lê Đức Thọ". Mọi thông tin, nội dung liên quan tới tin rao này là do người đăng tin đăng tải và chịu trách nhiệm. Muabannha.vn luôn cố gắng để các thông tin được hữu ích nhất cho quý vị tuy nhiên Muabannha.vn không đảm bảo và không chịu trách nhiệm về bất kỳ thông tin, nội dung nào liên quan tới tin rao này.















