Nhà
bán nhà măt tiền kinh doanh Nguyễn Tri Phường,Linh Xuân
Đường Nguyễn Tri Phương, Linh Xuân, Hồ Chí MinhMức giá
9.5 tỷ
Diện tích
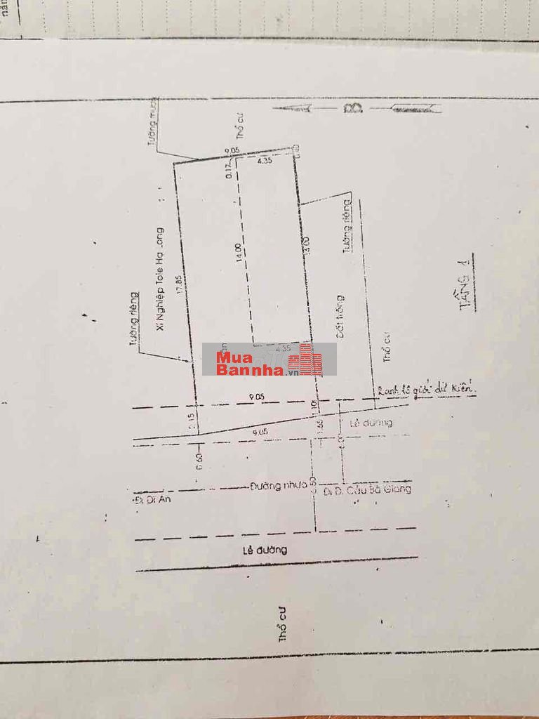
180 m²
Thông tin mô tả
Tôi cần bán căn mặt tiền kinh doanh đường Nguyễn Tri Phương đường nhựa lớn 16m
9x20m tổng 180m2
Hiện đang có 2 căn cho thuê tháng 22tr/tháng
Ai có nhu cầu thì liên hệ vào việc
Thông số bất động sản
- Mức giá
9.5 tỷ
- Diện tích
180 m²
- Chiều rộng
9 m²
- Chiều dài
20 m²
- Số phòng ngủ
2
- Số phòng VS
2
Ngày đăng
02/04/2026
Ngày hết hạn
16/04/2026
Loại tin
THƯỜNG
Mã tin
136925
Bất động sản dành cho bạn
Quý vị đang xem nội dung tin rao "bán nhà măt tiền kinh doanh Nguyễn Tri Phường,Linh Xuân". Mọi thông tin, nội dung liên quan tới tin rao này là do người đăng tin đăng tải và chịu trách nhiệm. Muabannha.vn luôn cố gắng để các thông tin được hữu ích nhất cho quý vị tuy nhiên Muabannha.vn không đảm bảo và không chịu trách nhiệm về bất kỳ thông tin, nội dung nào liên quan tới tin rao này.















