Nhà
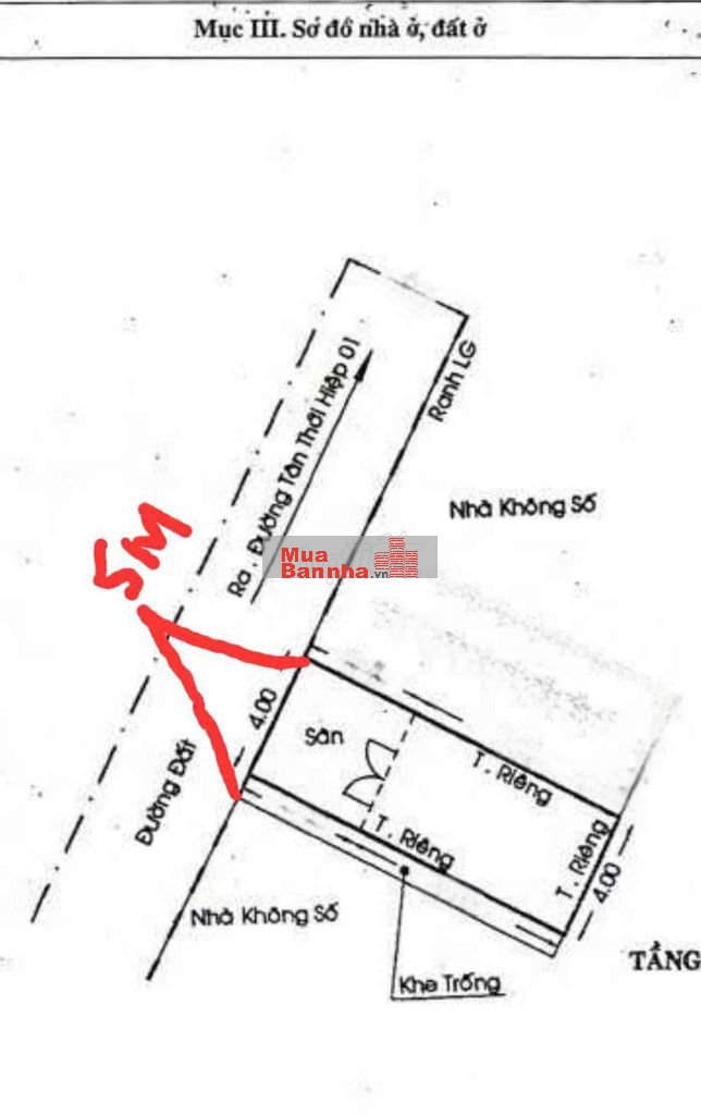
HẺM NHỰA OTO THÔNG- DTSD 5 * 14/ 3.9x Tỷ. GẦN SIÊU THỊ METROL
Đường Nguyễn Thị Kiểu, Tân Thới Hiệp, Hồ Chí MinhMức giá
3.95 tỷ
Diện tích
70 m²
Thông tin mô tả
🛻Q12, CHỈ 3.95 Tỏi- MẶT TIỀN ĐƯỜNG HẺM NHỰA OTO THÔNG NHÁNH NGUYỄN THỊ KIỂU THÔNG RA TRƯƠNG THỊ HOA - KINH DOANH MỌI NGÀNH NGHỀ - ĐI BỘ RA SIÊU THỊ METRO - QUA GÒ VẤP 1 km- HIẾM CÓ CĂN THỨ 2. C4 TIỆN XÂY CAO TẦNG. (#241025328.19.182447)
VỊ TRÍ ĐẮC ĐỊA, Nguyễn Thị Kiểu, Nhà C4 Rộng 5 x 14- Tân Thới Hiệp Quận 12.
🍀 Dtsd: 5m x 14m. ☘️ Kết cấu: Nhà cấp 4 còn mới tinh. 2 Phòng Ngủ, WC, Phòng khách, Bếp, Sân để xe rộng rãi.
☘️ Vị trí: 20m ra Nguyễn Thị Kiểu - Trương Thị Hoa. Gần trường học, Gần chợ, Siêu thị, Trường học cấp 1,2,3, Ngân hàng,….. Tiện ích xung quanh không thiếu gì. Vị trí hiếm.
☘️ Pháp lý chuẩn. Shr. Vuông vức A4 Công chứng ngay.
+ 💯Giá 3.95 tỷ( TL trực tiếp Chủ, Chính chủ ở lâu)
+ Lh ☎️xem nhà và vị trí thực tế.
Thông số bất động sản
- Mức giá
3.95 tỷ
- Diện tích
70 m²
- Chiều rộng
5 m²
- Chiều dài
14 m²
- Số phòng ngủ
2
- Số phòng VS
1
- Nội thất
Nội thất đầy đủ
Ngày đăng
29/10/2025
Ngày hết hạn
30/12/2026
Loại tin
THƯỜNG
Mã tin
7682
Bất động sản dành cho bạn
Quý vị đang xem nội dung tin rao "HẺM NHỰA OTO THÔNG- DTSD 5 * 14/ 3.9x Tỷ. GẦN SIÊU THỊ METROL". Mọi thông tin, nội dung liên quan tới tin rao này là do người đăng tin đăng tải và chịu trách nhiệm. Muabannha.vn luôn cố gắng để các thông tin được hữu ích nhất cho quý vị tuy nhiên Muabannha.vn không đảm bảo và không chịu trách nhiệm về bất kỳ thông tin, nội dung nào liên quan tới tin rao này.















