Nhà
Bán nhà hẻm 12 M cách MT 3 căn : tính theo giá trí đất : 4 x 19 M
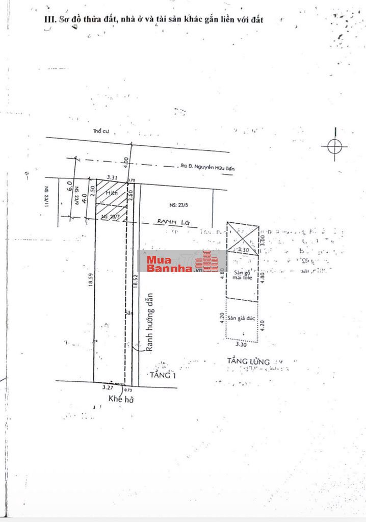
Hẻm 23 Nguyễn Hữu Tiến, Tây Thạnh, Hồ Chí MinhMức giá
8.5 tỷ
Diện tích
76 m²
Thông tin mô tả
💥MUA ĐẤT TẶNG NHÀ -
💥BAO SANG TÊN - BAO RA SỔ MỚI ĐẸP
🔥Bán nhà nguyễn hữu tiến. P Tây thạnh
🔥DT: 4 x 19. Đúc 2 lầu kiên cố
🔥Hẻm rộng 12m. Cách 3 căn ra mặt tiền - Hẻm vip nhất khu tây thạnh
🔥khu dân cư dân trí cao. Cách siêu thị Aeon chỉ 800m
----------------
Giá: 8.5 tỷ còn Thương lượng
LH: Hoàng Ninh ( dẫn khách nhiệt tình miễn phí )
Thông số bất động sản
- Mức giá
8.5 tỷ
- Diện tích
76 m²
- Chiều rộng
4 m²
- Chiều dài
19 m²
- Số phòng ngủ
5
- Số phòng VS
4
Ngày đăng
09/03/2026
Ngày hết hạn
23/03/2027
Loại tin
THƯỜNG
Mã tin
123862
Bất động sản dành cho bạn
Quý vị đang xem nội dung tin rao "Bán nhà hẻm 12 M cách MT 3 căn : tính theo giá trí đất : 4 x 19 M". Mọi thông tin, nội dung liên quan tới tin rao này là do người đăng tin đăng tải và chịu trách nhiệm. Muabannha.vn luôn cố gắng để các thông tin được hữu ích nhất cho quý vị tuy nhiên Muabannha.vn không đảm bảo và không chịu trách nhiệm về bất kỳ thông tin, nội dung nào liên quan tới tin rao này.















