Nhà
NHÀ NÁT - 8.8x25m hẻm 8m, ra Quang Trung 30m 1 trục - khu SẦM UẤT
Đường Quang Trung, Thông Tây Hội, Hồ Chí MinhMức giá
17.9 tỷ
Diện tích
190 m²
Thông tin mô tả
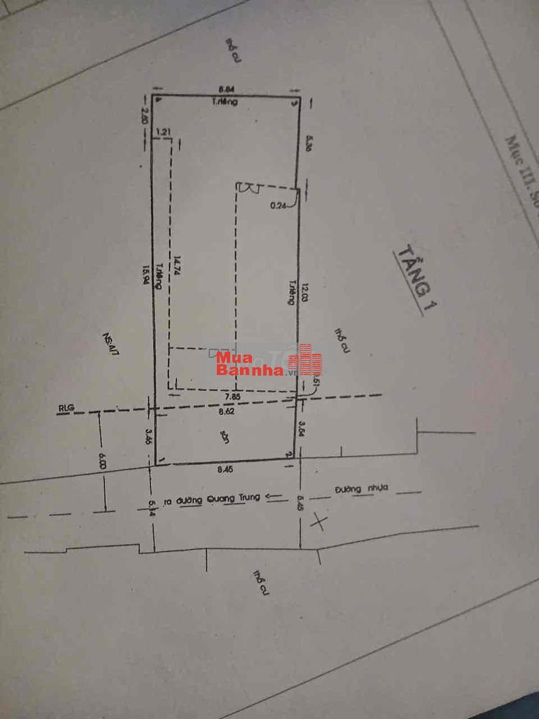
🚗🚗 ĐẤT ĐẸP 190m2 Quang Trung, Phường 8 - Gò Vấp đường 8M thẳng 1 trục 30M ra MẶT TIỀN.
💥💥 Bán giá: 17,99 tỷ bớt lộc 🚀🚀🚀
==============================
- Diện tích 8,4m x 21m nở hậu 8,8m (190m2)
- Phù hợp xây CHDV, khách sạn, biệt thự, làm siêu phẩm, có thể tách làm 2 lô xây 2 CHDV hoặc 2 siêu phẩm, hoặc lên BIỆT THỰ VƯỜN HẾT Ý….
- GPXD: hầm 7 tầng xây dựng tốt, khai thác dòng tiền
- Vị trí rất đẹp, làm kho hoặc nhà xưởng cũng rất OK
P/S: lô đất sót lại duy nhátttt trên thị trường Gv
📲📲Call số: O chính một chín hai sáo hai chính bảy támmm Linh Toni 18 tủi
Thông số bất động sản
- Mức giá
17.9 tỷ
- Diện tích
190 m²
- Chiều rộng
8.6 m²
- Chiều dài
25 m²
- Số phòng ngủ
4
- Số phòng VS
4
- Nội thất
Hoàn thiện cơ bản
Ngày đăng
16/03/2026
Ngày hết hạn
30/03/2027
Loại tin
THƯỜNG
Mã tin
128298
Bất động sản dành cho bạn
Quý vị đang xem nội dung tin rao "NHÀ NÁT - 8.8x25m hẻm 8m, ra Quang Trung 30m 1 trục - khu SẦM UẤT". Mọi thông tin, nội dung liên quan tới tin rao này là do người đăng tin đăng tải và chịu trách nhiệm. Muabannha.vn luôn cố gắng để các thông tin được hữu ích nhất cho quý vị tuy nhiên Muabannha.vn không đảm bảo và không chịu trách nhiệm về bất kỳ thông tin, nội dung nào liên quan tới tin rao này.

















